For Sale £465,000 (Freehold)
Marlow, Buckinghamshire

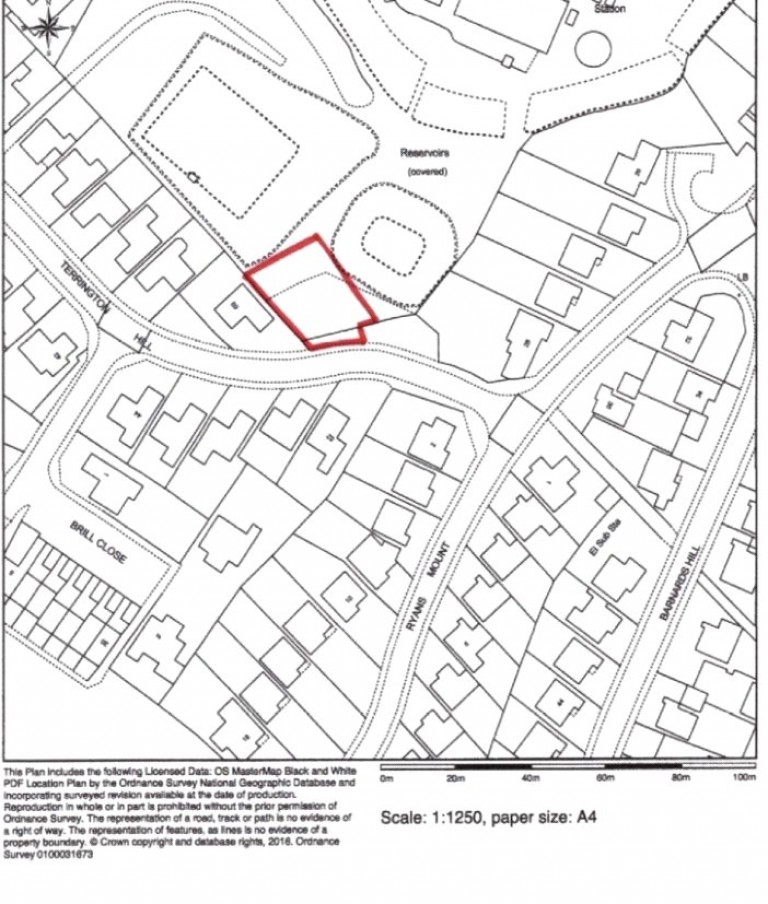
Floorplans For Marlow, Buckinghamshire

Key Features

  • Land with Planning Permission Granted for a DETACHED 2/3 Bedroom home in a sought after residential road in Marlow.
  • Planning Reference: Wycombe Council 25/05629/FUL
  • Ensuite bath/shower rooms to Main and Second Bedrooms.
  • Private Terrace off Main Bedroom.
  • Approximately 1365 sq ft
  • Stylish Energy Effecient Home.
  • Excellent location for OUTSTANDING local Schools.
  • Marlow Station with trains directly into Paddington is only 1.3 miles away
  • Please call to arrnage a viewing.

Description


LOOKING TO BUILD YOUR OWN HOME IN A FANTASTIC LOCATION CLOSE TO MARLOW.

A rare opportunity to buy a plot with planning permission granted to build a 2/3 bedroom detached home only 0.7 miles from Marlow High Street.

The property will benefit from a large open plan Kitchen/ Breakfast Room, Lounge, Study/Bedroom 3 on the ground floor and upstairs there are two sizeable bedrooms both with en-suite bath/shower rooms. There is also a private terrace off the master bedroom.

The property is within walking distance of OUTSTANDING local schools and also only 0.7 miles to Marlow High Street.

The plot is also in an excellent local for local transport being easily accessible to the Marlow train station (1.3 miles) and the M40 is also close by.

The picture are CGI's of the house and if you would like to book a viewing or require any further information please do not hesitate to call.

For further details on this property please give our office a call
0208 449 9069

ARRANGE A VIEWING

Book a viewing or enquire about this property

Simply fill out the form below or alternatively call us on 0208 449 9069

* Mandatory fields